Manual Testing – Test Cases, Execution & Bug Report Manual Testing – Test Cases, Execution & Bug Report Manual Testing – Test Cases, Execution & Bug Report Manual Testing – Test Cases, Execution & Bug Report
تفاصيل العمل

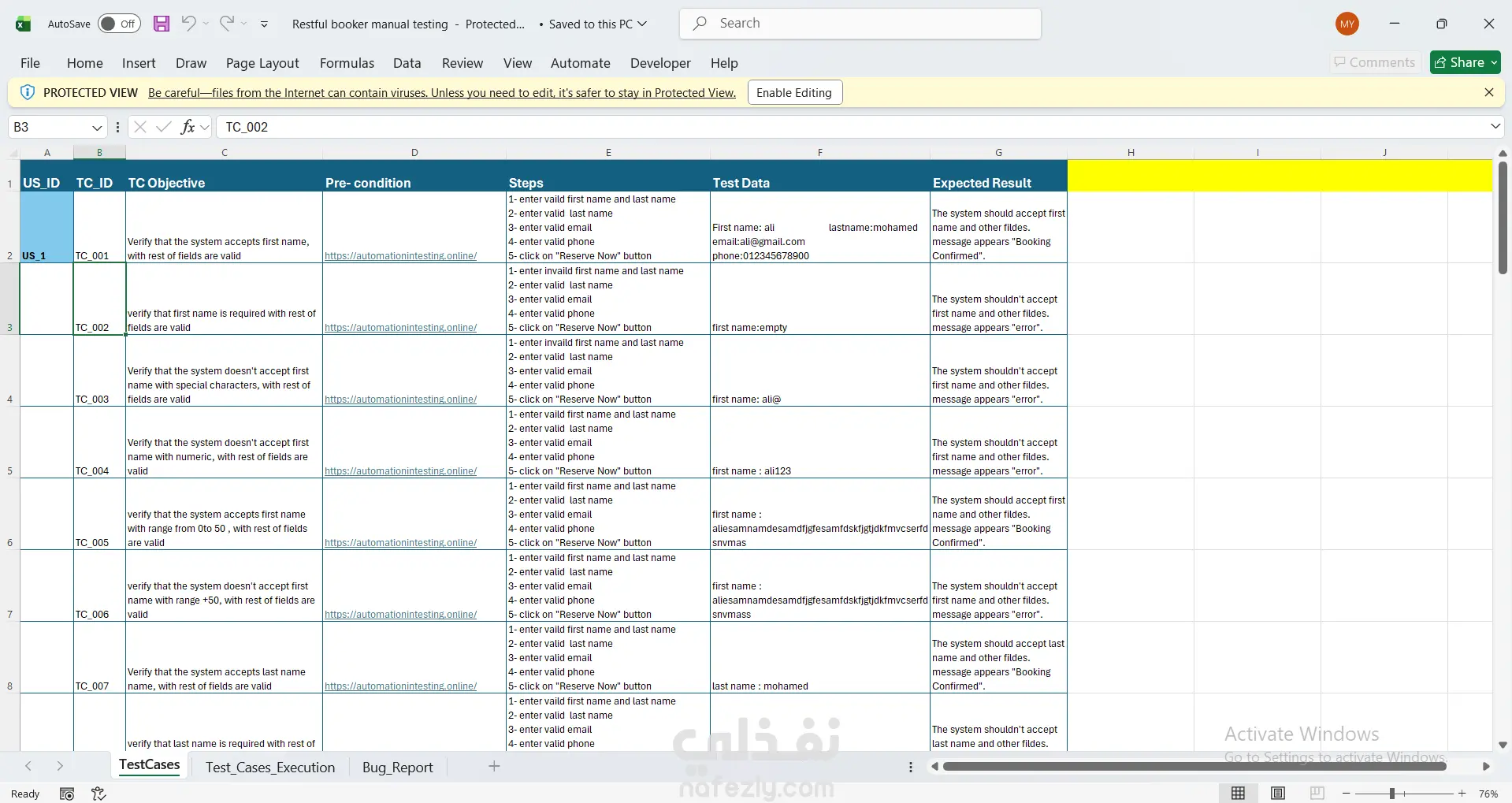
هذا العمل هو جزء من مشروعي في الـ Manual Testing لتطبيق ويب، يوضح طريقة تفكيري في الاختبار، وتنظيم حالات الاختبار، وتوثيق نتائج التنفيذ والأخطاء المكتشفة بشكل احترافي. العمل معروض كنموذج Portfolio لعرض مهاراتي في اختبار البرمجيات يدويًا. 📂 محتويات العمل 1️⃣ Test Cases كتابة حالات اختبار منظمة وواضحة تحديد: Test Objective Preconditions Test Steps Test Data Expected Result تغطية السيناريوهات: حالات طبيعية (Positive) حالات سلبية (Negative) Edge Cases 2️⃣ Test Cases Execution تنفيذ حالات الاختبار فعليًا توثيق: Actual Result Status (Pass / Fail) تتبع الحالات التي فشلت أثناء التنفيذ 3️⃣ Bug Report توثيق الأخطاء المكتشفة بطريقة احترافية كل Bug يحتوي على: Bug ID Description Steps to Reproduce Expected vs Actual Result Priority / Severity تنظيم الأخطاء داخل ملف Excel واضح 🎯 الهدف من العمل إظهار قدرتي على: تحليل متطلبات النظام اكتشاف الأخطاء الوظيفية ومشاكل الاستخدام توثيق نتائج الاختبار بطريقة واضحة تسهّل على فريق التطوير التعامل معها

شارك
بطاقة العمل
تاريخ النشر
منذ أسبوعين
المشاهدات
25
المستقل
طلب عمل مماثل
شارك
مركز المساعدة